Τουλάχιστον τρεις άνθρωποι έχουν χάσει τη ζωή τους στην Τζαμάικα κατά την προετοιμασία για την έλευση του τυφώνα Μελίσσα, ο οποίος αναμένεται να πλήξει το νησί το μεσημέρι της Τρίτης (ώρα Ελλάδας), με θυελλώδεις ανέμους, πλημμύρες και τεράστια κύματα. Οι αρχές έχουν προχωρήσει σε μαζικές εκκενώσεις και έχουν ανοίξει εκατοντάδες καταφύγια.
Ο τυφώνας Μελίσσα έχει ενταθεί σε τυφώνα κατηγορίας 5, με ανέμους που ξεπερνούν τα 280 χιλιόμετρα την ώρα, αποτελώντας έναν από τους ισχυρότερους τυφώνες που έχουν πλήξει ποτέ την Καραϊβική, με τους Αμερικανούς μετεωρολόγους να προειδοποιούν για «καταστροφικές και απειλητικές για τη ζωή» συνθήκες.
View of Kingston, Jamaica as Hurricane Melissa approaches https://t.co/9RrHJg3odZ
— CGTN Europe Breaking News (@CGTNEuropebreak) October 28, 2025
Ενώ ο τυφώνας Μέλισσα κατηγορίας 5 παραμένει αρκετά μακριά από την ακτή, οι εξωτερικές ζώνες βροχής και οι θυελλώδεις άνεμοι έχουν αρχίσει να πλήττουν το νησί. Οι ομάδες έκτακτης ανάγκης στην Τζαμάικα έχουν λάβει αναφορές για πεσμένα δέντρα, κατολισθήσεις και πτώσεις γραμμών ηλεκτροδότησης.
«Ανταποκριθήκαμε και απομακρύναμε τα εμπόδια και… ανοίξαμε ξανά όλους τους δρόμους που είχαν αποκλειστεί εκτός από έναν», δήλωσε ο υπουργός της Τζαμάικας Ρόμπερτ Μόργκαν σε συνέντευξη Τύπου αργά τη Δευτέρα.
«Συνεχίζουμε να προτρέπουμε τους ανθρώπους να επιδεικνύουν εξαιρετική προσοχή… οι πτώσεις βράχων αποτελούν άμεση απειλή», είπε.
Οι τρεις νεκροί έχασαν τη ζωή τους κατά τη διάρκεια των προετοιμασιών για τον επερχόμενο τυφώνα — ένας άνδρας παρασύρθηκε από ορμητικά νερά ενώ προσπαθούσε να καθαρίσει φρεάτια απορροής, ένας δεύτερος τραυματίστηκε θανάσιμα από πτώση δέντρου, και ένας τρίτος υπέκυψε στα τραύματά του μετά από ατύχημα σε προσπάθεια στερέωσης της στέγης του σπιτιού του. Οι αρχές επιβεβαίωσαν ότι πρόκειται για τα πρώτα θύματα του φαινομένου, πριν καν αυτό φτάσει στο νησί. Εκτός από τους τρεις νεκρούς στη Τζαμάικα το πέρασμα του τυφώνα ευθύνεται και για τέσσερις θανάτους σε Αϊτή και Δομινικανή Δημοκρατία.
The government of Jamaica issued mandatory evacuation orders for six areas on Monday afternoon as Hurricane Melissa prepares to wreak havoc on the country. https://t.co/2FFiJIvOLZ pic.twitter.com/oCnWmzC48K
— The National Desk (@TND) October 28, 2025
Ο πρωθυπουργός Άντριου Χόλνες κήρυξε την Τζαμάικα σε κατάσταση έκτακτης ανάγκης, καλώντας τους κατοίκους να τηρήσουν αυστηρά τις εντολές εκκένωσης και να αναζητήσουν καταφύγιο σε ασφαλείς τοποθεσίες. «Πρόκειται για μια εξαιρετικά επικίνδυνη καταιγίδα. Η προστασία της ανθρώπινης ζωής είναι η απόλυτη προτεραιότητά μας», δήλωσε σε τηλεοπτικό διάγγελμα.
Περισσότερα από 900 καταφύγια έχουν ήδη ανοίξει, κυρίως στις περιοχές Κίνγκστον, Σεντ Τόμας και Σεντ Κάθριν, όπου αναμένονται οι μεγαλύτερες επιπτώσεις. Οι τοπικές αρχές προειδοποιούν ότι οι ισχυρές βροχοπτώσεις μπορεί να προκαλέσουν πλημμύρες και κατολισθήσεις, ιδίως στις ορεινές περιοχές, ενώ τα παράκτια τμήματα αναμένεται να πληγούν από κύματα ύψους έως και τεσσάρων μέτρων.
Ωστόσο, πολλοί κάτοικοι αψηφούν τις οδηγίες των αρχών και δεν εγκαταλείπουν τις εστίες τους. «Απλώς δεν θέλω να φύγω», δήλωσε στο Γαλλικό Πρακτορείο Ειδήσεων (AFP) η Τζένιφερ Ραμντάιαλ, η οποία ασχολείται με την αλιεία στο Πορτ Ρόιαλ, μια μικρή ιστορική πόλη κοντά στην πρωτεύουσα Κίνγκστον.
«Ακόμη κι αν ήταν… Κατηγορίας 6, δεν θα έφευγα», είπε ο Ρόι Μπράουν, υδραυλικός και πλακάς, αν και η κλίμακα Σαφίρ-Σίμσον είναι πεντάβαθμη. Εξήγησε ότι πολλοί κάτοικοι έχουν αρνηθεί να εγκαταλείψουν τις εστίες τους λόγω της άσχημης εμπειρίας που είχαν παλιότερα σε καταφύγια που είχαν στήσει οι αρχές.
Οι μετεωρολόγοι προειδοποιούν ότι η καταιγίδα ενδέχεται να παραμείνει πάνω από το νησί για πολλές ώρες, αυξάνοντας τον κίνδυνο εκτεταμένων ζημιών σε υποδομές και κατοικίες. Τα αεροδρόμια και τα λιμάνια έχουν κλείσει, ενώ οι αεροπορικές εταιρείες ακύρωσαν όλες τις πτήσεις από και προς το νησί.
Η Πολεμική Αεροπορία των ΗΠΑ πραγματοποίησε αποστολές αναγνώρισης, πετώντας στο μάτι του τυφώνα Μελίσσα για να συλλέξει κρίσιμα δεδομένα σχετικά με την καταιγίδα.
Πλάνα από το πιλοτήριο της πτήσης που έχουν δημοσιοποιηθεί δείχνουν το αεροπλάνο να πετάει μέσα στην απόκοσμα ήσυχη καρδιά της καταιγίδας, ανάμεσα στον σπειροειδή δακτύλιο από σύννεφα, που αναμένεται να προκαλέσει καταστροφή όταν χτυπήσει την Τζαμάικα.
Πέρα από την Τζαμάικα, η Μελίσσα προβλέπεται να πλήξει την Κούβα ως ένας μεγάλος τυφώνας αργά το βράδυ της Τρίτης ή νωρίς το πρωί της Τετάρτης. Από εκεί, θα επηρεάσει τμήματα των Μπαχαμών και των γύρω περιοχών.
Inside the eye of Hurricane Melissa, the Category 5 hurricane expected to devastate Jamaica. pic.twitter.com/Cy1p86ag6A
— Suburban Black Man (@niceblackdude) October 28, 2025
Ο τυφώνας Μελίσσα είναι ο τρίτος τυφώνας κατηγορίας 5 της φετινής περιόδου στον Ατλαντικό και θεωρείται ακόμη ένα παράδειγμα της αυξανόμενης έντασης των καιρικών φαινομένων που αποδίδεται στην κλιματική αλλαγή. Οι επιστήμονες επισημαίνουν ότι η αύξηση της θερμοκρασίας των ωκεανών έχει ενισχύσει τη διαδικασία ταχείας ενδυνάμωσης των τροπικών κυκλώνων, κάνοντας τους τυφώνες πιο καταστροφικούς μέσα σε λίγες ώρες.
Οι αρχές εκτιμούν ότι το φαινόμενο θα αρχίσει να εξασθενεί σταδιακά αφού περάσει πάνω από το νησί, ωστόσο ήδη βρίσκονται σε επιφυλακή και οι γειτονικές χώρες, όπως η Κούβα και τα Κέιμαν, οι οποίες μπορεί να δεχθούν το επόμενο πλήγμα του Μελίσσα μέσα στις επόμενες 48 ώρες.
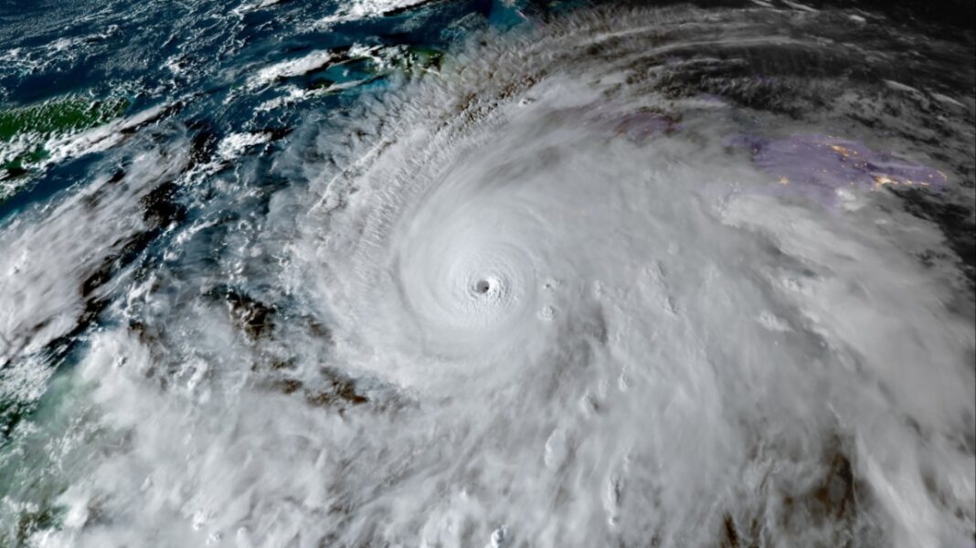
Αυτή η απίστευτη εικόνα του τυφώνα Μελίσσα προέρχεται από το Ινστιτούτο Έρευνας στην Ατμόσφαιρα στο Κρατικό Πανεπιστήμιο του Κολοράντο (CSU) και την Εθνική Υπηρεσία Ωκεανών και Ατμόσφαιρας (NOAA).
Ο όρος κυκλώνας (cyclone) χρησιμοποιείται όταν οι καταιγίδες συμβαίνουν στον Νότιο Ειρηνικό και στον Ινδικό Ωκεανό. Αναφέρονται ως τυφώνες (typhoons) όταν εμφανίζονται στον Βορειοδυτικό Ειρηνικό. Και είναι γίνονται τροπικοί κυκλώνες – τυφώνες (hurricanes) όταν εμφανίζονται στον Βόρειο Ατλαντικό, στον κεντρικό Βόρειο Ειρηνικό και στον ανατολικό Βόρειο Ειρηνικό.


